Comet 73P/Schwassmann-Wachmann 3

Description: Discovered in 1930, 73P/Schwassmann-Wachmann is in a short period (5.4 year) orbit. Notable for having broke up into five pieces during the 1995/6 apparition, this comet was last at perihelion in 2001, when the A, B and E components were re-identified. This time, the comet has split into several dozen fragments. Perigee is around 12-13 May 2006 and perihelion between 6-8 June, depending on the fragment.
Most images shown here are at 1/3 size - click to enlarge.

Skip to component: C, B, G, R.

Component C


Description:Here the comet can clearly be seen in negative colours. In the top image, the comet's motion is discernable against the background stars, which come out as streaks and a dust tail to the left.
The bottom image is processed tracking the stars instead of the comet. The 16th magnitude galaxy KUG 1354+131 (a.k.a. LEDA 49625) can be seen to the left of the comet. The white dots and associated grey blob are due to flatfielding errors caused by moving dust grains on the CCD camera window.

Image information: Stacked, dark-subtracted, registered combination of 112 x 10s white-light images. The image is in negative. Image taken 01/03/2006 00:06-00:29.

Physical information: Magnitude: roughly 14.6 +/- 0.4 (no appropriate field stars were available for a good calibration), tail: ~2.5' @ PA 245.5, dist. from Earth: 0.7714AU, dist. from Sun: 1.6177AU, magnitude comparable to expectation.


Description: Re-imaged on 02/03/06, the comet appears to be roughly 20-30% brighter. The tail appears to be weaker and is only visible much closer to the comet. The animation shows the track of the comet over this time.

Image information: Stacked, dark-subtracted, registered combination of 200 x 10s white-light images. The image is in negative. Image taken 02/03/06 23:15-00:10 (3rd). Animation shows 10 stacked frames at a time.

Physical information: Magnitude: roughly 14.4 +/- 0.5 (no appropriate field stars were available for a good calibration), tail: ~1.7' @ PA ~260, coma ~17", dist. from Earth: 0.7431AU, dist. from Sun: 1.5989AU, magnitude comparable to expectation.

Description: Imaged again on 19/04/06, the comet is significantly brighter. The tail has notably changed direction and is visible to the upper-left of the comet (north is down). Two objects that appear to be real and track with the comet are highlighted on this image, and may represent unnumbered components that have broken off the main body of the comet. The brightness of the brightest of these is probably around magnitude 16.

Image information: Stacked, dark-subtracted, flatfielded, registered combination of 150 x 10s white-light images. Image taken 19/04/06 23:11-23:44 (UT). Inset processing and annotation in AIP4Win and PaintShopPro 9.

Physical information: Magnitude: roughly 7.4, dist. from Earth: 0.2114AU, dist. from Sun: 1.1643AU.

Description: Imaged again on 27/04/06, the comet is again significantly brighter. The dust tail continues to move around towards the south (top of frame). Although the other components are showing signs of breaking up, C (the main component) appears to be remaining intact.

Image information: Stacked, dark-subtracted, flatfielded, registered combination of 30 x 10s white-light images. Image taken 27/04/06 23:39 (UT).

Physical information: Magnitude: ephemerides estimates vary between 6.2 and 9.4, dist. from Earth: 0.1472AU, dist. from Sun: 1.1025AU.

Description: Another image on 01/05/06, 10.4 days before closest approach to Earth (perigee). The dust tail is still clearly visible and appears roughly colourless. There appears to have been some horizontal smearing caused by a combination of telescope tracking errors and the comet's actual motion across the sky (7"/min).

Image information: Stacked, dark-subtracted, flatfielded, registered combination of 40 x 10s white-light images and 12 x 10s images in I R V and B bands. Image taken 01/05/06 23:32-23:56 (UT).

Physical information: Magnitude: approx. 5.6 (confirmed visual at dark site), dist. from Earth: 0.1193AU (17.8Mkm), dist. from Sun: 1.074AU.

Description: Another image of component C, taken 8.4 days before perigee. The comet was moving at a very fast 8.5"/min, meaning that even in a 10 second exposure, it has drifted by two pixels, making getting a well-focussed image difficult.

Image information: Stacked, dark-subtracted, flatfielded, registered combination of 60 x 10s white-light images. Image taken 03/05/06 23:55 (UT).

Physical information: Magnitude: approx. 5-6 (confirmed naked eye, May 1st), dist. from Earth: 0.1069AU (16.0Mkm), dist. from Sun: 1.0611AU.

Component B

Description: Our first image of component B, which had experienced a split only a few nights before. It appears very much like component C, except with a slightly more diffuse tail around the nucleus. It is probably about the same size as C.

Image information: Stacked, dark-subtracted, flatfielded, registered combination of 30 x 10s white-light images and 10 x 10s images in I R V and B bands. Images taken 27/04/06 22:54-23:30 (UT).

Physical information: Magnitude: ephemerides estimates vary between 8.2 and 9.3, dist. from Earth: 0.153AU (22.9Mkm), dist. from Sun: 1.110AU, scale: 111km/pixel.


Description: A second image, taken 13.1 days before perigee, illustrating the breakup of the comet. The largest runaway piece has been labelled as fragment AQ. The others are undesignated. The bottom-left image has been altered to seperate the fragments more clearly from the tail. The fragments have been shown in diagramatical form on the bottom-right for easy identification.

Image information: See image. Images taken 01/05/06 23:11 - 02/05/06 00:54 (UT).

Physical information: Magnitude: approx. 7.6 (AQ approx. 11), dist. from Earth: 0.123AU (18.4Mkm), dist. from Sun: 1.081AU, scale: 89km/pixel.

Description: The same data that was used to produce the above image was reprocessed and magnified to confirm reports that the nucleus had split into two components. The brighter, trailing component moves about 0.8 pixels upwards in relation to the fainter, leading component. Component AQ is also visible, trailing B by about 2900km.

Image information: Stacked, dark-subtracted, flatfielded, registered combination of 40 x 20s / 30 x 10s and 4 x 20 x 15s white-light images. Enlargement: 2x. Images taken 01/05/06 23:11 - 02/05/06 00:54 (UT).

Physical information: As above.


Description: A third image, taken 11.1 days before perigee, further illustrating the breakup of the comet, similar to the above images taken two days previously. Fragment AQ can be seen moving away from fragment B. This is partly real motion and partly due to the fact that the objects are still approaching us. The fragments appear to be moving apart at roughly 8.8 km/hour (5.5 mi/h).

Image information: See image. Images taken 03/05/06 23:12 - 04/05/06 01:27 (UT).

Physical information: Magnitude: approx. 7-8 (AQ approx. 9-11), dist. from Earth: 0.109AU (16.3Mkm), dist. from Sun: 1.068AU, scale: 79km/pixel.


Description: In this image, taken 4.25 days before perigee, the comet has undergone a dramatic change and brightening. Even with the gibbous moon that night, it was a naked eye object for many observers (not in Keele - Newcastle puts out too much light pollution). The comet appears to have developed jets with possible fine structure. Component AQ appears to either have disintegrated or evaporated, as it is not where we expected it to be.

Image information: See image. Images taken 10/05/06 00:23 - 00:52 (UT).

Physical information: Magnitude: approx. 4-5, dist. from Earth: 0.076AU (11.4Mkm), dist. from Sun: 1.030AU, scale: 55km/pixel.


Description: Two images here, taken 3.37 and 3.21 days before perigee, respectively, shows the short timescale of the evolution of the comet, which at the time was fading from outburst. In the left image (although more out of focus) the nucleus appears more round. In the right-hand image, once processing has ben done to remove the glow of the dust in the comet's coma, two fragments can be seen near the nucleus. It is possible one of these is AQ.

Image information: See image. Images taken 10/05/06 21:11 - 22:50, 11/05/06 00:56 - 01:14 (UT).

Physical information: Magnitude: approx. 4-5 (nuclear magnitude measured at ~10 within 15"); dist. from Earth: 0.0728-0.0722AU (10.86-10.80Mkm), dist. from Sun: 1.0247-1.0238AU, scale: 52.7-52.2km/pixel.

Component G

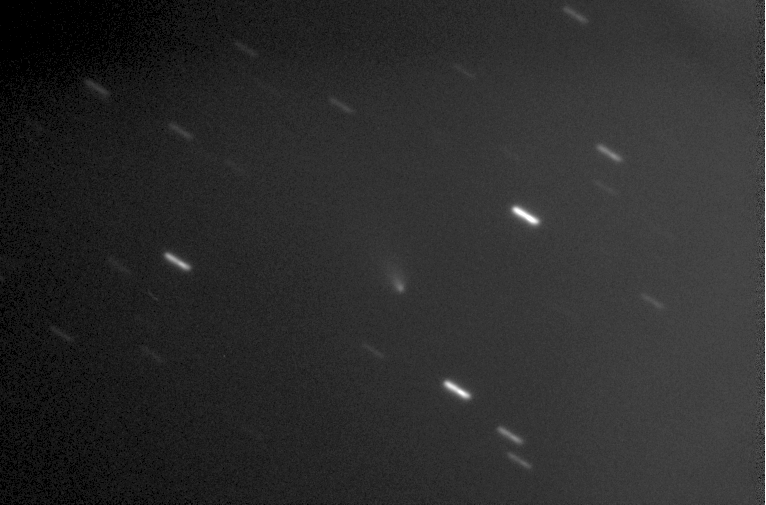
Description: Here we see component G shortly after a catastrophic breakup. Note that this image tracks the stars, since the comet is too faint to track with our software. The comet is visible as the "smudge with a tail" near the brightest star and appears to have pretty much disintegrated.

Image information: Stacked, dark-subtracted, flatfielded, registered combination of 24 x 10s white-light images. Image taken 27/04/06 22:50 (UT).

Physical information: Magnitude: unknown, probably about 11, dist. from Earth: 0.154AU, dist. from Sun: 1.111AU.

Description: This image shows the dying rubble of fragment G after its apparently total breakup. The processing software we used has managed to track the comet, but inaccurately. As a result, the comet will be slightly out of focus and will also be trailed by about 4 pixels.

Image information: Stacked, dark-subtracted, flatfielded, registered combination of 20 x 20s white-light images, with median filter to remove noise. Image taken 03/05/06 23:07 (UT).

Physical information: Magnitude: estimated (inaccurately) at 15.7 +/- 2.0, dist. from Earth: 0.110AU (16.5Mkm), dist. from Sun: 1.069AU.

Component R

Description: Imaged while in outburst, this component of the comet is smaller than B, C and G, but has remained relatively intact. It's small coma size and dust tail ar clearly visible here.

Image information: Stacked, dark-subtracted, flatfielded, registered combination of 24 x 10s white-light images. Images taken 27/04/06 22:30 (UT).

Physical information: Magnitude: brighter than mag. 15, dist. from Earth: 0.155AU, dist. from Sun: 1.112AU.

Description: Component R was reported to still be in outburst near this time. The image isn't tracked very well here due to the faintness of the comet, and long exposures means that the nucleus has trailed a few pixels, resulting in a slightly blurred image.

Image information: Stacked, dark-subtracted, flatfielded, registered combination of 20 x 20s white-light images, with median filter to remove noise. Image taken 03/05/06 22:55 (UT).

Physical information: Magnitude: estimated about 13 +/- 2, dist. from Earth: 0.111AU (16.6Mkm), dist. from Sun: 1.070AU.

Back to: Gallery, Home